Teren intravilan 1.497 mp de vânzare în Pantelimon, Ilfov – Ideal pentru construcții rezidențiale  

Jud. Ilfov, Localitate Pantelimon
Pret: 124 000 €
124 000 €
Sursă: ImobilPro

Caracteristici
Categorie: Terenuri
Tip tranzacție: Vânzare
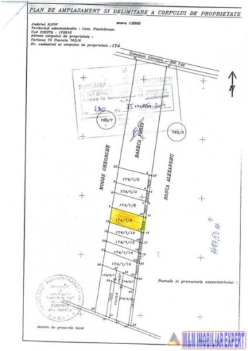
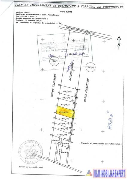
Suprafață teren: 1497 m2
Lungime teren: 59 m
Latime teren: 26 m
Front stradal: 52 m
Apă
Gaz
Canalizare
Descriere

Titlu: Teren intravilan 1.497 mp de vânzare în Pantelimon, Ilfov – Ideal pentru construcții rezidențiale

Meta Descriere: Teren intravilan de 1.497 mp situat în Pantelimon, Ilfov. Perfect pentru proiecte rezidențiale, având acces facil la infrastructura urbană. Detalii complete pe site.

Descriere: Teren intravilan cu o suprafață de 1.497 mp, amplasat în Pantelimon, Ilfov, ideal pentru construcții rezidențiale. Locația oferă acces rapid la facilitățile din apropiere și este potrivită pentru dezvoltarea unei locuințe într-o zonă liniștită, aproape de București.

Caracteristici:

  • Suprafață: 1.497 mp
  • Locație: Pantelimon, Ilfov
  • Utilizare: rezidențial
  • teren intravilan Pantelimon, 
  • teren rezidențial Ilfov, 
  • teren construcții Pantelimon.

Teren de vanzare 1.497 mp, intravilan, Pantelimon - Ilfov imoviliare.

Agentie imobiliara - Vand Teren 1.49 7mp, intravilan, Pantelimon - IF. / Teren intravilan liber 1.497 mp de vanzare Pantelimon, Lebada, Lac Cernica pozitie deosebita zona de vile, langa Complexul Swan Lake Village. Front la 2 strazi, 1497 mp construibil cu toate utilitatile la poarta, electricitate, gaze, apa, canal, etc. Terenul este format dintr-un dreptunghi cu laturile de 59 m si 26 m - front stradal. Terenul se afla la jumatatea distantei dintre sosea si lac si are deja multe imobile construite imprejur, vecini lipiti in dreapta si in spate, precum si vecini in stanga. Toate actele la zi si impozitele platite. Dispunem de certificat de urbanism pentru instrainare. Fotografiile sunt de la fata locului si recente, in acest moment strada este pietruita complet - semibetonata. Loc / 

Pret = 124.000 euro, 82 e/mp. negociabil.

Link intern: vezi oferte in Ilfov - https://mmimobiliarexpert.ro/oferte/Judetul-ilfov

Agentia imobiliara Mak Imobiliar Expert S.R.L / mmimobiliarexpert®/ C.R.M.- ImobilPro 8©


Precizati ca ati vazut oferta cu ID-ul: 5050


fata poza
Mak Adalbert

0745930886


Trimite un mesaj
Am citit și sunt de acord cu termenii și condițiile acestui website.


Magnolia Office Sibiu

Chirii Sibiu
Eurosib Imobiliare